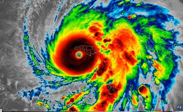
O furacão Melissa atingiu o Caribe na tarde de segunda-feira, quando a terrível tempestade será a pior da história.
Espera-se que o furacão de categoria 5, descrito como a “tempestade do século” e agora mais forte que o Katrina, provoque destruição em toda a Jamaica, com inundações intensas e ventos de 300 km/h.
O olho da tempestade está atualmente cercado por ventos fortes, também conhecidos como parede do olho.
O vento intenso seguiu em direção à Jamaica antes que a tempestade atingisse a costa por volta das 13h, perto de New Hope, de acordo com o Centro Nacional de Furacões.
Os ministros alertaram os residentes jamaicanos para não ‘apostarem contra Melissa’ e alertaram que qualquer pessoa que não se proteja estará colocando as suas vidas em risco.
A tempestade intensificou-se para a categoria 5 – a força máxima – na segunda-feira e já começou a atingir a costa com ventos e ondas “com risco de vida”.
Os meteorologistas confirmaram que o Melissa period agora mais intenso do que o Katrina, que causou danos estimados em 125 mil milhões de dólares e matou 1.392 pessoas quando atingiu Nova Orleães em 2005.
Melissa é um dos furacões mais violentos que atingiu a base do Atlântico. Apenas duas outras tempestades, a Dorian de 2019 e o furacão do Dia do Trabalho em 1935, fizeram isso no passado.
O furacão Melissa atingiu o Caribe na tarde de segunda-feira, quando a terrível tempestade será a pior da história. O olho da tempestade está atualmente cercado por ventos fortes
Pessoas são vistas nadando na água enquanto o furacão Melissa se aproximava de Kingston, Jamaica, na terça-feira
Dorian também teve ventos de 185 horas por hora quando devastou as Ilhas Ábaco, nas Bahamas.
A Jamaica não foi atingida por um furacão tão intenso desde 1988, quando Gilbert atingiu a costa.
Esse furacão foi de categoria 4 e atingiu o oeste de Kingston.
Não se espera que Melissa chegue aos Estados Unidos, mas os meteorologistas alertaram para ondas fortes à medida que a tempestade se transfer ao longo da Costa Leste.
A tempestade está se movendo lentamente na direção norte-nordeste, de acordo com o Centro Nacional de Furacões.
“Nos próximos dias, espera-se que o furacão acelere para nordeste dentro do fluxo, antes de uma depressão amplificada sobre o sudeste dos EUA”, disse a agência.
“Este fluxo diretivo levará o núcleo de Melissa através da Jamaica hoje, sobre o leste de Cuba na manhã de quarta-feira, e através do sudeste ou centro das Bahamas ainda na quarta-feira.
‘Então, a previsão é que o furacão passe perto das Bermudas na noite de quinta-feira ou na sexta-feira.’
Um homem é visto sendo surpreendido enquanto caminha por Kingston na terça-feira
Enquanto isso, a Flórida foi atingida por 50 centímetros de chuva que varreu partes do Sunshine State na noite de domingo e na segunda-feira, provocando inundações repentinas.
O lento sistema de tempestades foi declarado pelo Serviço Meteorológico Nacional (NWS) como uma “situação particularmente perigosa”.
Fotos e vídeos surgiram nas redes sociais do resort quatro estrelas The Boca Raton, em Boca Raton, sendo inundado pelas enchentes.
Águas turvas entraram no saguão do lodge de luxo, inundando-o, com móveis de jardim e espalhados por todo o inside, enquanto os funcionários tiveram que recorrer a vadear por ele.
Também surgiram imagens de ruas de Monte Dora, no centro do estado, completamente arrasadas pelas chuvas torrenciais.
A área foi atingida por até 17,8 polegadas de chuva, com a vizinha Eustis recebendo 19,7 polegadas em um período de 24 horas.
Zach Regulation, meteorologista do NWS, disse ABC Notícias que partes do estado não viam tais níveis desde o furacão Ian em 2022.
Enquanto isso, a Flórida foi atingida por 50 centímetros de chuva que varreu partes do Sunshine State. Fotos e vídeos surgiram nas redes sociais do resort quatro estrelas The Boca Raton, em Boca Raton, sendo inundado pelas enchentes
Uma seção destruída da Donnelly Avenue em Mount Dora é vista aqui na segunda-feira, depois que chuvas inundaram a área com quase 50 centímetros de chuva
O Monte Dora foi atingido por até 17,8 polegadas de chuva, com a vizinha Eustis recebendo 19,7 polegadas em um período de 24 horas.
Um porta-voz do The Boca Raton disse que a área foi limpa para secar e o lodge voltou a funcionar normalmente, sem impacto para os hóspedes.
A maior parte da água parada em Boca Raton recuou na segunda-feira, depois que o sistema de gerenciamento de águas pluviais da cidade conseguiu recuperar o atraso, disseram as autoridades.
Algumas áreas no sudeste ainda enfrentavam água parada até a tarde de segunda-feira e não houve relatos de danos significativos às casas.
De acordo com o departamento de polícia native, cerca de 100 carros foram rebocados após serem abandonados na noite de domingo.
O aeroporto de Boca Raton teve que fechar temporariamente devido a graves inundações antes de ser reaberto na segunda-feira.
Após o dilúvio que atingiu o estado no início desta semana, os meteorologistas disseram que o “tempo de outono” estava a caminho com uma perspectiva estabelecida.












