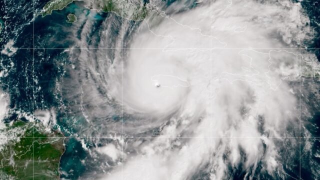
Um furacão enorme e lento está atravessando o Caribe.
Depois de passar pela Jamaica e causar grandes danos, de acordo com o The GuardianO furacão Melissa atingiu Cuba. A agência de notícias informa que esta é a tempestade de categoria 5 mais forte a atingir a Jamaica desde que começou a registrar tempestades em 1851, mas desacelerou para categoria 3 em Cuba. Ainda assim, continuará a causar destruição à medida que provavelmente se deslocar para as Bahamas.
A tempestade é notável porque a sua velocidade (muito lenta, movendo-se a 7 milhas por hora) e força (ventos de até 180 mph) criam o ambiente ultimate para a destruição.
Relatório de tendências do Mashable
Vídeos da tempestade e seu impacto estão em todas as redes sociais.
Este Tweet não está disponível no momento. Pode estar carregando ou foi removido.
Este Tweet não está disponível no momento. Pode estar carregando ou foi removido.
Os vídeos mais chocantes e virais sobre X do furacão são de @FlynonymousWXtambém conhecido como Tropical Cowboy of Hazard, um caçador anônimo de furacões da Força Aérea dos EUA que postou vídeos do olho do furacão Melissa. (Desde @FlynonymousWX é anônimo, é difícil confirmar a autenticidade dos vídeos, mas eles parecem ser reais e a conta tem um histórico de postagem desse tipo de conteúdo.)
Este Tweet não está disponível no momento. Pode estar carregando ou foi removido.
Este Tweet não está disponível no momento. Pode estar carregando ou foi removido.
Este Tweet não está disponível no momento. Pode estar carregando ou foi removido.
Este Tweet não está disponível no momento. Pode estar carregando ou foi removido.
Mas, é claro, os vídeos de IA também se tornaram virais, aparecendo durante desastres naturais com uma frequência notável. Veja este vídeo de um tubarão na piscina de alguém. Não é actual.
Este Tweet não está disponível no momento. Pode estar carregando ou foi removido.
Uma boa regra em tempos de desastres naturais no que diz respeito a vídeos gerados por IA é seguir o que agências como o Centro Nacional de Furacões estão postando – e não acreditar em tudo que você vê.
Tópicos
Vídeos virais do X/Twitter












