- 11 horas atrás
- Notícias
- Duração 2:19
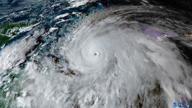
Os ventos de categoria 5 do furacão Melissa atingiram o oeste da Jamaica na manhã de terça-feira, marcando uma das mais poderosas aterrissagens no Atlântico já registradas. Johanna Wagstaffe, da CBC, analisa como Melissa pode fazer parte de uma nova period de furacões: tempestades alimentadas por mares com temperaturas recordes e desaceleradas por uma corrente de jato mutável.











